カテゴリ:通常不動産物件情報
|
| 所在地 | 山形県山形市 伊達城二丁目 山形市伊達城2丁目 |
| 交通 | JR奥羽本線 漆山駅 徒歩24分 JR仙山線 楯山駅 徒歩22分 |
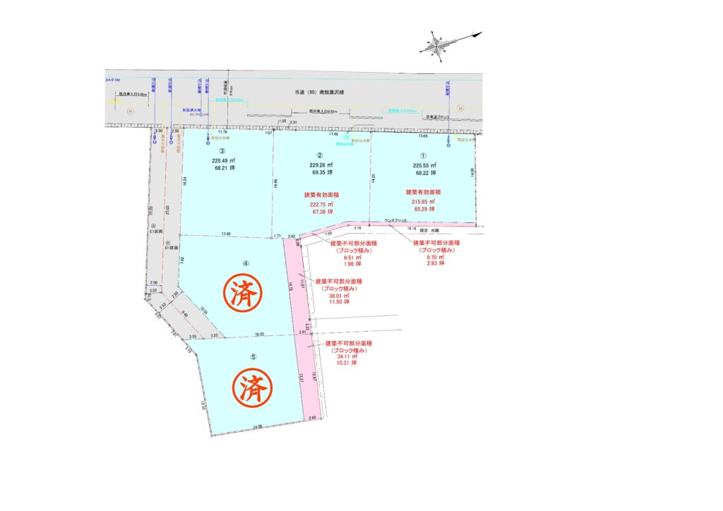
| 面積 | 土地 204m² | 建蔽率/容積率 | 60% / 150% |
| 物件番号 | 20240006 | ||
| 設備・条件 | 角地 公営水道 排水下水 ※1.本物件は、「市街化調整区域」のため、宅地造成及び建物建築ができません。
別途、開発許可並びに農地転用許可が必要です。
また、下記①~⑤の費用は、買主様のご負担となりますので、ご了承ください。
①宅地造成工事費用
②上下水道引込費用
③開発許可申請費用
④農地転用許可申請費用
⑤所有権移転登記費用
※2.本物件は、新開・伊達城地区内の道路扱いの規定により、南側道路において、道路中心線より3mまでセットバックを必要とするエリアに該当します。
開発の申請を行う際は、事前に山形市役所の対応窓口へ相談する必要がありますので、ご注意ください。
なお、開発許可申請ならびに農地転用許可申請の手続きにつきましては、弊社で承ることも可能ですので、お気軽にご相談ください。
|
||
価格
築年月

