みなさん、こんにちは!
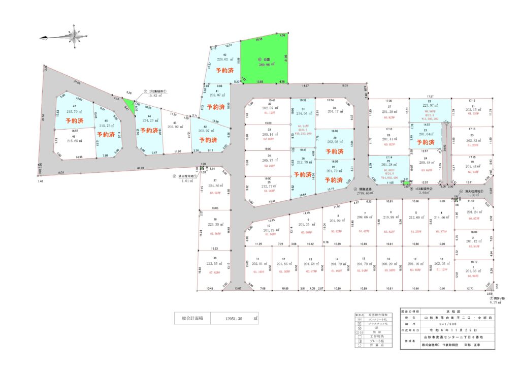
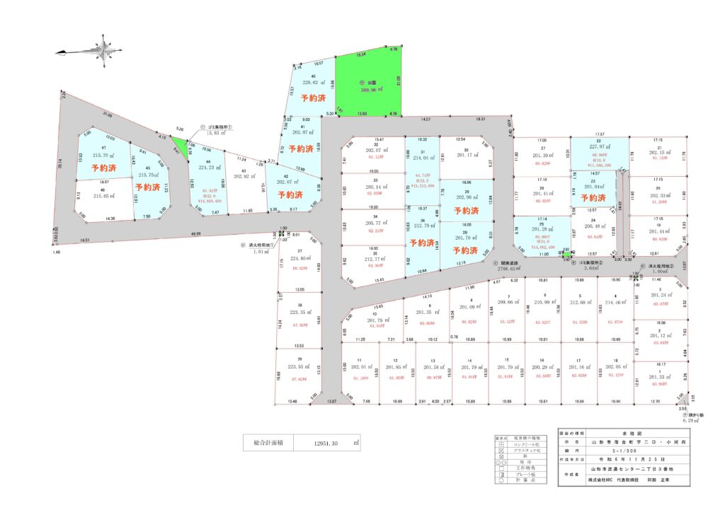
本日は、すでにCM等でご存じの方もいらっしゃるかと思いますが、山形市落合町にて、全47区画の分譲地「イミグラント落合町」の物件情報をご案内いたします♪
令和7年2月より造成工事がスタートし、現在造成工事中です♪
詳細は下記をご覧ください(^^♪
今後も不定期ですが、情報を更新いたしますのでぜひご覧ください♪
みなさん、こんにちは!
本日は、すでにCM等でご存じの方もいらっしゃるかと思いますが、山形市落合町にて、全47区画の分譲地「イミグラント落合町」の物件情報をご案内いたします♪
令和7年2月より造成工事がスタートし、現在造成工事中です♪
詳細は下記をご覧ください(^^♪
今後も不定期ですが、情報を更新いたしますのでぜひご覧ください♪
|
所在地 | 山形県山形市落合町字二口、字小河向 |
---|---|
交通 | JR奥羽本線 羽前千歳駅 徒歩18分 |
駐車場 | 取引態様 | 売主 | |
---|---|---|---|
引渡/入居時期 | 期日指定 202511 中旬 | 現況 | 更地 |
地目 | 畑 | 用途地域 | |
都市計画 | 市街化調整区域 | 地勢 | 平坦 |
土地面積 | m² | 土地面積計測方式 | 公簿 |
セットバック | 無 | セットバック量 | |
建ぺい率 | 60% | 容積率 | 150% |
土地権利 | 所有権 | 接道状況 | |
接道種別1 | 公道 | 接道幅員1 | 6m |
周辺環境 |
山形市立千歳小学校 山形市立第四中学校 ヨークベニマル落合町、山形市立総合スポーツセンター、県立中央病院 |
||
設備・条件 | ※上下水道完備
※令和7年11月末以降より引渡予定(現在、造成工事中)
※造成工事完了及び分筆後、地目を「宅地」に変更し、引渡しとなります。
なお、本物件は「未完成物件」のため、工事等の状況により引渡しの日程が前後する可能性がございます。予めご了承ください。
|
||
URL | http://www.youtube.com/@イット不動産 | ||
物件番号 | 20250004 | ||
自社物 | 自社物 | 状態 | 売出中 |
特記事項 | 全47区画の大規模分譲地「イミグラント落合町」が山形市落合町に誕生します! 周辺は住宅も多く、買い物を含め外出にも便利なエリア☆ 全47区画のうち、13区画(図面「水色」の区画は住宅メーカーの指定はございませんので、お客様がご希望の住宅メーカーで建築可能♪ おかげさまで、お問い合わせも増えております♪ 新しい分譲地で、大切なご家族と過ごす素敵なマイホーム建てませんか?(^^)/ ぜひご検討ください♪ |